Beteiligungsverfahren
Unter Beteiligungsverfahren finden Sie die aktuell in der Aufstellung befindlichen Bebauungspläne, bei denen zur Zeit die Beteiligung der Öffentlichkeit, der Behörden und der Träger öffentlicher Belange durchgeführt wird.
Bauleitplanung der Gemeinde Reiskirchen, Ortsteil Reiskirchen
Bebauungsplan Nr. 1.8 „Vor dem Nonn“ – 1. Änderung
- Anlage Artenschutzrechtlicher Fachbeitrag
- Anlage Immissionsberechnung
- Auswertungen der Stellungnahmen
- Begründung Änderung FNP
- Begründung B-Plan
- Plankarte Änderung FNP
- Plankarte B-Plan
- UB E Anlage1 Bestandskarte
- UB E Anlage2 Expose Ökokonto Am Wäldchen
- UB E Vor dem Nonn
sowie Änderung des Flächennutzungsplanes in diesem Bereich
Bekanntmachung der Beteiligung der Öffentlichkeit gemäß § 3 Abs. 2 BauGB
(1) Die Gemeindevertretung der Gemeinde Reiskirchen hat am 23.03.2022 gemäß § 3 Abs. 2 BauGB die Entwurfsoffenlage des Bebauungsplanes Nr. 1.8 „Vor dem Nonn“ – 1. Änderung im Ortsteil Reiskirchen beschlossen. Eine Flächennutzungsplanänderung erfolgt gemäß § 8 Abs. 3 BauGB im Parallelverfahren.
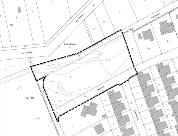
(2) Der räumliche Geltungsbereich des Plangebietes liegt am westlichen Ortsrand von Reiskirchen, nördlich des Fliederweges. Die Abgrenzung des Geltungsbereiches ist der beiliegenden Abbildung 1 zu entnehmen und umfasst die Flurstücke 49/9, 59/2 tlw. und 61/1 tlw. in der Flur 18 (Gemarkung Reiskirchen).
(3) Planziel ist die Umwandlung von Teilflächen, die bislang im rechtskräftigen Bebauungsplan als Grünflächen mit der Zweckbestimmung Spielplatz festgesetzt sind, in ein Allgemeines Wohngebiet gemäß § 4 BauNVO zur Vorbereitung einer zukünftigen Wohnbebauung. Der östlich gelegene Spielplatz bleibt erhalten. Die verkehrliche Anbindung erfolgt über den Fliederweg.
(4) Gemäß § 2 Abs. 4 und § 2a BauGB muss eine Umweltprüfung durchgeführt werden, in der die voraussichtlich erheblichen Umwelteinwirkungen ermittelt und in einem Umweltbericht beschrieben und bewertet werden. Der Umweltbericht ist gemäß § 2a BauGB in die Begründung des Bebauungsplanes bzw. der FNP-Änderung zu integrieren. Die bisherige Unterrichtung nach § 3 und § 4 BauGB erfolgte gemäß den Vorgaben des Baugesetzbuches (BauGB) und diente im Hinblick auf die Ermittlung des erforderlichen Umfangs und Detaillierungsgrades der Umweltprüfung nach § 2 Abs. 4 BauGB, die jetzt im Umweltbericht dokumentiert und zusammen mit den umweltrelevanten Stellungnahmen im Internet veröffentlicht und in der Gemeindeverwaltung ausgelegt werden. Die Gemeindevertretung der Gemeinde Reiskirchen hat am 02.09.2020 gemäß § 2 Abs. 1 i.V.m. § 13a BauGB die Aufstellung des Bebauungsplanes Nr. 1.8 „Vor dem Nonn“ – 1. Änderung im Ortsteil Reiskirchen (Bebauungsplan der Innenentwicklung) beschlossen. Das Verfahren wurde mit Beschluss vom 23.03.2022 zum Entwurf in ein zweistufiges Regelverfahren mit parallel erfolgender Änderung des Flächennutzungsplanes umgestellt und die bereits erfolgte Beteiligung als frühzeitige Beteiligung i.S.d. § 3 Abs. 1 und § 4 Abs. 1 BauGB angerechnet.
Folgende Arten umweltbezogener Informationen liegen vor:
Umweltbericht mit integriertem landschaftspflegerischem Planungsbeitrag. Der Umweltbericht umfasst neben einem einleitenden Kapitel zu den Inhalten, Zielen und Festsetzungen des Bebauungsplanes, der Einordnung des Plangebietes und den in den einschlägigen Fachgesetzen und Fachplänen festgelegten Zielen des Umweltschutzes, eine Beschreibung und Bewertung der voraussichtlichen erheblichen Umweltauswirkungen der Planung einschließlich der Maßnahmen zu ihrer Vermeidung, Verringerung bzw. ihrem Ausgleich. Die Betrachtung der umweltrelevanten Schutzgüter und Informationen umfasst in § 1 Abs.6 Nr.7a-j BauGB:
- Boden und Wasser: Charakterisierung von Bodentypen und Bodeneigenschaften, Bodenfunktionsbewertung sowie Hinweise auf angrenzende oberirdische Gewässer. Bewertung der Planung im Hinblick auf den Eingriff in den Boden- und Wasserhaushalt. Lage angrenzend an ein amtlich festgesetztes Überschwemmungsgebiet.
- Klima und Luft: Auswirkungen des Plangebietes für die Kalt- und Frischluftbildung sowie das Lokal- bzw. Kleinklima.
- Pflanzen, Biotop- und Nutzungstypen: Bestandsbeschreibung der Biotop- und Nutzungstypen, Eingriffsbewertung.
- Tiere und artenschutzrechtliche Belange: Bestandsbeschreibung, Verweise auf gesetzliche Regelungen zum Artenschutz.
- Natura-2000-Gebiete und sonstige Schutzgebiete: Betroffenheit von Natura-2000-Gebieten ist nicht gegeben, Auswirkungen auf die Schutzziele dieses Schutzgebietes sind nicht zu erwarten. Das Plangebiet liegt unmittelbar angrenzend an das nördlich zu verortende Landschaftsschutzgebiet Nr. 2531018 „Auenverband Lahn-Dill“. Das Landschaftsschutzgebiet betrifft sehr kleinflächig die Feldwegeparzelle im Plangebiet.
- Biologische Vielfalt: Feststellung keiner erheblichen nachteiligen Wirkungen des Plangebietes für die biologische Vielfalt.
- Landschaft: Auswirkungen der Planung auf das Landschafts- bzw. Ortsbild.
- Mensch, Gesundheit und Bevölkerung: Keine zusätzlichen erheblichen negativen Auswirkungen des Plangebietes auf die angrenzenden Nutzungen. Sicherung der Naherholungsfunktion, keine erheblichen Konflikte für die menschliche Gesundheit oder die Wohnqualität erkennbar.
- Kultur- und sonstige Sachgüter: Hinweis auf gesetzliche Regelungen zum Umgang mit Bodendenkmälern.
- Erhaltung der bestmöglichen Luftqualität: Beeinträchtigungen der bestehenden und zu erhaltenden bestmöglichen Luftqualität im Zuge der Planung ist nicht zu erwarten.
Hinzu kommt eine Eingriffs- und Ausgleichsbewertung zu dem durch den Bebauungsplan bauplanungsrechtlich vorbereiteten Eingriff in Natur und Landschaft und dessen Ausgleich. Der Ausgleich erfolgt durch Zuordnung einer Ökokontomaßnahme, welche als Ausgleichsfläche beim Ortsteil Bersrod gesichert wird. Hier wird eine Fläche für Maßnahmen zum Schutz, zur Pflege und Entwicklung von Boden, Natur und Landschaft mit dem Entwicklungsziel Streuobstwiese ausgewiesen.
Ferner umfasst der Umweltbericht Angaben zu Maßnahmen zur Vermeidung, Verringerung und zum Ausgleich der nachteiligen Auswirkungen der Planung, zur Entwicklung des Umweltzustandes bei Durchführung bzw. Nichtdurchführung der Planung, zu den in Betracht kommenden anderweitigen Planungsmöglichkeiten sowie zur Überwachung der Umweltauswirkungen, die aufgrund des Bauleitplans auftreten können.
Als weitere umweltbezogene Informationen liegen vor:
- Artenschutzrechtlicher Fachbeitrag (Plan Ö, Stand 04/2025) in Bezug auf Vögel, Fledermäuse und Reptilien. Aus der Analyse sind als artenschutzrechtlich besonders zu prüfende Vogelarten Elster, Grünfink, Grünspecht, Heckenbraunelle, Star, Stieglitz und Waldohreule, als artenschutzrechtlich besonders zu prüfende Fledermausarten Breitflügelfledermaus, Großes Mausohr, Rauhautfledermaus und Zwergfledermaus sowie die artenschutzrechtlich besonders zu prüfende Art Haselmaus hervorgegangen. Dementsprechend sind artenschutzrechtliche Konflikte möglich. Reptilien und artenschutzrechtlich besonders zu prüfende Amphibien wurden nicht nachgewiesen.
- Immissionsberechnung (Schalltechnisches Büro A. Pfeifer, 06/2025) in Bezug auf den Immissionsschutz für das geplante Wohngebiet im Einwirkungsbereich der Bahnstrecke, sowie der Bundesstraße B49 und der Autobahn A5. Es wurde eine Überschreitung der Grenzwerte der 16. BImSchV an einem Immissionsort im geplanten Allgemeinen Wohngebiet festgestellt, sodass im Bebauungsplan Festsetzungen zum Schallschutz aufgenommen wurden.
Im Rahmen der bisherigen Beteiligung der Öffentlichkeit gemäß § 3 BauGB sowie der Behörden und sonstigen Träger öffentlicher Belange gemäß § 4 BauGB (vor der Verfahrensumstellung als Beteiligung nach § 3 Abs. 2 und § 4 Abs. 2 BauGB i.V.m. § 13a BauGB durchgeführt) sind folgende Stellungnahmen mit umweltrelevanten Informationen eingegangen bzw. umweltrelevante Themen angesprochen worden:
- Abwasserverband Wiesecktal (18.12.2020): Hinweise zur Schmutzwasserbeseitigung und Entwässerung im Trennsystem.
- DB Bahn AG (15.12.2020): Hinweise zu möglichen Emissionen durch den Eisenbahnbetrieb.
- Hessen Mobil, Dillenburg (09.12.2020): Hinweise zur verkehrlichen Erschließung des Plangebietes.
- Kreisausschuss des LK Gießen FD Wasser- und Bodenschutz (04.12.2020): Hinweis auf die Nicht-Betroffenheit von Oberflächengewässer, sowie allgemeine Hinweise zum Grundwasserschutz und zur Abwasserbeseitigung.
- Kreisausschuss des LK Gießen, Brandschutz (01.12.2020): Hinweise zur Löschwasserversorgung.
- Kreisausschuss des LK Gießen, FD Naturschutz (24.11.2020): Hinweis zur Erhebung artenschutzrechtlich relevanter Tiergruppen.
- LK Gießen, FB 17, FD 74.1 Verkehr (23.11.2020): Hinweise zur verkehrlichen Erschließung und Verkehrssicherheit.
- Regierungspräsidium Darmstadt, Kampfmittelräumdienst (08.12.2020): Hinweis zu keinem begründeten Verdacht auf Bombenblindgänger sowie Umgang im Fall eines Vorfindens.
- Regierungspräsidium Gießen (16.12.2020): Hinweise zum vorhandenen Vorranggebiet Regionaler Grünzug und zur Alternativenprüfung bzgl. vorrangiger Innenentwicklung. Lage außerhalb von Wasserschutzgebieten, Hinweise zum Umgang mit Niederschlagswasser, keine Hinweise auf Altstandorte, keine Betroffenheit von Abfallentsorgungsanlagen, Hinweise zum Bodenschutz, Lage in einem erloschenen Bergwerksfeld, Hinweis auf Betroffenheit von Waldflächen.
- Regierungspräsidium Gießen, Dez. 41.3 (12.01.2021): Hinweise zum Immissionsschutz.
- Sonstiges: Hinweise zur vorhandenen Telekommunikationslinien seitens der Deutschen Telekom Technik GmbH (03.12.2020); Hinweise zur vorhandenen Stromversorgungsleitungen seitens der Mittelhessen Netz GmbH (13.11.2020);
Die umweltrelevanten Stellungnahmen werden zusammen mit der Umweltprüfung (Umweltbericht), in der die Aspekte der Kompensation und Regelungen nach Bundesnaturschutzgesetz (BNatSchG) und dem Hess. Naturschutzgesetzes behandelt sind, ins Internet eingestellt und ergänzend öffentlich ausgelegt.
(5) In Ausführung des § 3 Abs. 2 BauGB (Beteiligung der Öffentlichkeit) werden die Planunterlagen des Bebauungsplanes sowie der Flächennutzungsplanänderung (jeweils Plankarte und Begründung) einschließlich Umweltbericht, sowie der Artenschutzrechtliche Fachbeitrag, die Immissionsberechnung und die o.g. umweltrelevanten Stellungnahmen in der Zeit vom 18.08.2025 – 19.09.2025 einschließlich im Internet auf der Homepage der Gemeinde unter https://www.gemeinde-reiskirchen.de/bauen/beteiligungsverfahren/ veröffentlicht und können ebenfalls über das zentrale Internetportal des Landes Hessen unter https://bauleitplanung.hessen.de/ eingesehen werden. Zusätzlich zur Veröffentlichung im Internet erfolgt gemäß § 3 Abs. 2 Satz 4 Nr. 4 BauGB eine öffentliche Auslegung der oben genannten Unterlagen in der Gemeindeverwaltung Reiskirchen, Schulstraße 17, 35447 Reiskirchen, Fachbereich III, Fachdienst Planung, Umwelt und Energie, Zimmer 23, während der allg. Dienststunden der Verwaltung sowie nach Vereinbarung. Zudem wird die DIN 4109-1:2018-01 „Schallschutz im Hochbau“ in der Gemeindeverwaltung Reiskirchen öffentlich ausgelegt. Während der oben genannten Dauer der Veröffentlichungsfrist können Stellungnahmen abgegeben werden.
Es wird darauf hingewiesen, dass Stellungnahmen elektronisch übermittelt werden sollen, bei Bedarf aber auch auf anderem Weg, zum Beispiel schriftlich, in Textform oder zur Niederschrift, abgegeben werden können. Die elektronische Abgabe der Stellungnahmen ist zum Beispiel unter der E-Mail-Adresse beteiligung@fischer-plan.de möglich.
(6) Gemäß § 3 Abs. 2 Satz 4 Nr. 3 BauGB wird darauf hingewiesen, dass nicht fristgerecht abgegebene Stellungnahmen bei der Beschlussfassung über den Bauleitplan unberücksichtigt bleiben können.
(7) Für die FNP-Änderung gilt, dass eine Vereinigung im Sinne des § 4 Abs. 3 Satz 1 Nummer 2 des Umwelt-Rechtsbehelfsgesetzes in einem Rechtsbehelfsverfahren nach § 7 Abs. 2 des Umwelt-Rechtsbehelfsgesetzes gemäß § 7 Abs. 3 Satz 1 des Umwelt-Rechtsbehelfsgesetzes mit allen Einwendungen ausgeschlossen ist, die sie im Rahmen der Auslegungsfrist nicht oder nicht rechtzeitig geltend gemacht hat, aber hätte geltend machen können.
(8) Das Planungsbüro Fischer aus 35435 Wettenberg ist gemäß § 4b BauGB mit der Durchführung des Bauleitplanverfahrens beauftragt.
- Bauleitplanung der Gemeinde Reiskirchen, Ortsteil Reiskirchen
- Bebauungsplan Nr. 1.8 „Vor dem Nonn“ – 1.Änderung
- sowie Änderung des Flächennutzungsplanes in diesem Bereich
Abb. 1: Räumlicher Geltungsbereich des Plangebietes

Abb. 2: Geltungsbereich der externen Ausgleichsfläche (Gemarkung Bersrod)

Abb. 3: Überischtskarte zur Verortung der Geltungsbereiche

Abbildungen genordet, ohne Maßstab